9497m²

Área total

Valor do imóvel

R$ 16.800.000
Taxas
  • IPTU
    R$ 5.000,00

Terreno/Área no Uberaba de 9497 m²

Ref: TE0407-BEL

Sobre este imóvel

ÁREA EXCLUSIVA DE 9.497m² DE FRENTE PARA A AV. COMENDADOR FRANCO (AV. DAS TORRES) UBERABA CURITIBA/PR

Uma das maiores frentes disponíveis na Avenida das Torres, com localização estratégica e grande potencial de valorização. Situada entre a Fiat Barigui e o novo Shopping Flow, empreendimento Open Mall com 30.000m², ancorado pelo Max Atacadista, que será referência na região.

Destaques da localização:
Frente direta para a Av. Comendador Franco (Av. das Torres), um dos principais eixos de ligação de Curitiba
Praticamente em frente ao Condor
Acesso também pela Rua Rosa Mehl, importante via de ligação com a Av. Salgado Filho
Região em forte expansão, com comércio consolidado e residências de alto padrão

Características do imóvel:
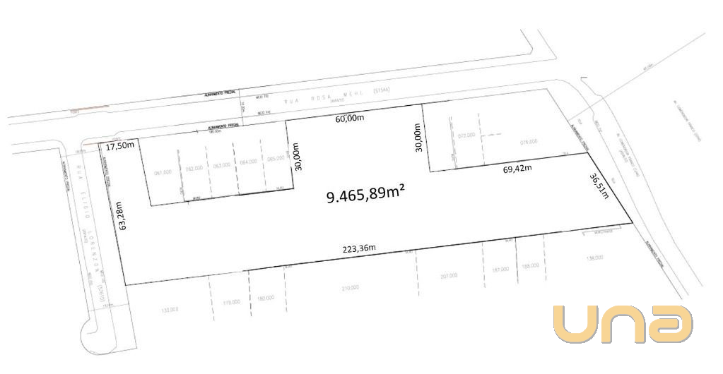
Área total: 9.497m² (7 lotes contíguos, vendidos apenas em conjunto)
Zoneamento: EACF Eixo de Adensamento Av. Comendador Franco
Frente para a Av. das Torres, ideal para uso comercial
Parte interna com vocação para residencial

Indicações fiscais:
88.226.075 5.342m² Av. Comendador Franco
88.226.132 2.355m² Rua Rosa Mehl
88.226.066 360m² Rua Rosa Mehl
88.226.067 360m² Rua Rosa Mehl
88.226.068 360m² Rua Rosa Mehl
88.226.069 360m² Rua Rosa Mehl
88.226.070 360m² Rua Rosa Mehl
Total: 9.497m²

Valor de Venda: R$ 16.800.000,00
(estuda-se permuta como parte de pagamento)

Endereço: Av. Comendador Franco, nº 6416 Uberaba Curitiba/PR

Localização

Avenida Comendador Franco, 6414

Uberaba - Curitiba - PR

Características

Área total: 9497m²

IPTU: R$ 5.000,00

Água: Sim

Esgoto: Sim

Face do imóvel: Norte

Luz: Sim

Zoneamento: EACF – Eixo de Adensamento Av. Comendador Franco;

Você também pode gostar

Terreno/Área no Uberaba de 443 m²

Uberaba

Ref: TE0396

R$ 650.000

443m²

Área

Terreno/Área no Uberaba de 12865 m²

Uberaba

Ref: TE0409

R$ 21.050.000 R$ 24.650.000

12865m²

Área

Terreno/Área no Uberaba de 9497 m²

Uberaba

Ref: AR0041

R$ 16.800.000

9497m²

Área

Terreno/Área no Uberaba de 4147.65 m²

Uberaba

Ref: 4851

R$ 6.221.475

4147m²

Área

Dados de Contato